Działka budowlana Białokury gm. Siemyśl
Białokury gm. Siemyśl Pokaż na mapie ›
Dodane: Piątek, 27 Marzec, 2026 12:51
800 000 zł
40 zł/m2
Szczegóły ogłoszenia
- Kategoria: Działki i grunty / Sprzedaż
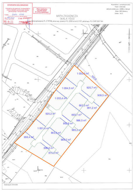
- Pow. działki:19973 m2
- Rodzaj działki:Budowlana
- Sprzedaż:Pośrednik
- Cena: 800 000 zł / 40 zł/m2
Opis oferty
Białokury gmina Siemyśl - na sprzedaż atrakcyjny TEREN INWESTYCYJNY o łącznej pow. 19.973 m2CENA tylko 40,- zł za 1 m2 powierzchni terenu. (podatek VAT nie występuję przy tej transakcji)
Na wydzielony teren (oznaczony na załączniku graficznym) stanowiący część działki nr. 142/2 została wydana decyzja o warunkach zabudowy (WZ)
dla inwestycji polegającej na budowie 18 domów jednorodzinnych wraz z niezbędną infrastrukturą techniczną oraz drogą wewnętrzną.
Proponowany podział terenu umożliwia wyodrębnienie 18 działek o pow. od 815 m2 do 1.094 m2
To idealna propozycja dla dewelopera lub inwestora, który szuka terenu z gotową dokumentacją i możliwością szybkiego rozpoczęcia prac.
Teren położony jest przy drodze asfaltowej, w otoczeniu lasu i terenów zielonych, co dodatkowo podnosi jej atrakcyjność i potencjał sprzedażowy przyszłych działek lub domów.
Wszystkie media są na działce lub przy działce w głównej drodze asfaltowej:
- prąd,
- woda,
- kanalizacja,
- gaz,
- telefon
Pełne uzbrojenie to ogromna oszczędność czasu i kosztów dla inwestora.
Niektóre, najważniejsze parametry decyzji o warunkach zabudowy (WZ)
- wysokość zabudowy: do 9 m, maks. 2 kondygnacje
- dachy: dwuspadowe lub czterospadowe, kąt 3045
- intensywność zabudowy: do 30%
- powierzchnia biologicznie czynna: min. 60%
- szerokość elewacji frontowej: 15,8 m 20%
- min. 2 miejsca postojowe na każdy dom dostęp z drogi powiatowej + projektowana droga wewnętrzna
POTENCJAŁ INWESTYCYJNY ZWROT Z INWESTYCJI
Dwa warianty potencjalnego zysku:
1. sprzedaż działek po podziale,
2. oraz budowa i sprzedaż domów.
Cena sprzedaży to tylko 40 zł/m, podczas gdy działki budowlane w gminie Siemyśl i okolicach Kołobrzegu osiągają od 80,- zł do 120 zł/m.
To oznacza dwu i trzykrotnie niższą cenę zakupu niż cena rynkowa działek.
Wariant 1: Podział i sprzedaż działek:
Powierzchnia terenu: 19.973 m
Cena zakupu: 40,- zł/m
Cena średnia sprzedaży działek w okolicy: 100,- zł/m
Koszt zakupu terenu 19.973 m 40,- zł = 798.920,- zł
Potencjalny przychód ze sprzedaży działek 19.973,- m 100,- zł = 1.997.300,- zł
Potencjalny zysk ok. 1.198.380,- zł
Podsumowanie wariantu 1:
- Około 1,2 mln zł zysku tylko na podziale i sprzedaży działek bez konieczności budowy domów, bez ryzyka budowlanego i bez angażowania dużego kapitału.
- Teren z WZ i pełnym uzbrojeniem pozwala na szybkie rozpoczęcie procedury podziałowej i natychmiastowe wprowadzenie działek do sprzedaży.
- Cena zakupu 40 zł/m przy cenach rynkowych 80120 zł/m daje bardzo wysoki potencjał marży.
**********************************************************************************************************************
Wariant 2: Budowa 18 domów i sprzedaż jako gotowe nieruchomości:
Średnia pow. działki: ok. 950 m
Cena domu jednorodzinnego w regionie Siemyśla i w kierunku Kołobrzegu: 800.000,- zł do 1.200.000,- zł
Liczba domów 18
Najniższa cena sprzedaży jednego domu 800.000,- zł
Przychód łączny 14.400.000,- zł
Niska cena zakupu gruntu (40 zł/m) znacząco obniża koszt wejścia, pełne uzbrojenie i wydana WZ skracają czas przygotowania inwestycji, lokalizacja blisko Kołobrzegu zwiększa atrakcyjność domów dla kupujących, marża pozostaje wysoka nawet po uwzględnieniu kosztów budowy, infrastruktury i obsługi inwestycji.
Dlaczego warto?
- teren z wydaną decyzją WZ gotowy do inwestycji,
- pełne uzbrojenie przy działce możliwość szybkiego podziału i sprzedaży działek
- atrakcyjna lokalizacja w spokojnej miejscowości blisko Kołobrzegu.
- cena zakupu 2-3 razy niższa niż cena rynkowa działek
- idealny teren pod osiedle 18 domów jednorodzinnych
Wariant 2 daje możliwość wygenerowania przychodu rzędu 14,4 mln zł i zapewnia najwyższy potencjał zysku spośród dostępnych modeli inwestycyjnych.
********************************************************************************************************************
Decyzja o warunkach zabudowy z 06.11.2025 dla:
1. Rodzaj inwestycji: zabudowa mieszkaniowa
2. W oparciu o analizę funkcji oraz cech zabudowy i zagospodarowania terenu, której wynik stanowi załącznik do niniejszej decyzji, przeprowadzoną na podstawie art. 53 ust. 3 oraz w związku z 61 ust 5a ustawy z dnia 27 marca 2003 r. o planowaniu i zagospodarowaniu przestrzennym dla planowanej inwestycji, stanowiącej kontynuację funkcji istniejącej zabudowy, ustalam następujące warunki i szczegółowe zasady zagospodarowania terenu oraz jego zabudowy, w zakresie:
2.1. warunków i wymagań ochrony i kształtowania ładu przestrzennego:
a) nieprzekraczalna linia zabudowy w odległości:
- 20 m od zewnętrznej krawędzi jezdni drogi powiatowej stanowiącej działkę oznaczoną nr 164/1 - zgodnie z załącznikiem graficznym do decyzji, (przez nieprzekraczalną linię zabudowy należy rozumieć linię wyznaczającą maksymalne przybliżenie budynków mieszkalnych, bez prawa jej przekraczania, za wyjątkiem balkonów, wykuszy, gzymsów, okapów dachów, schodów zewnętrznych itp.),
b) Intensywność zabudowy: ustala się maksymalną intensywność zabudowy wynoszącą 30% oraz nadziemną intensywność zabudowy wynoszącą od 2% do 30%,
c) udział powierzchni zabudowy: do 15% powierzchni terenu objętego decyzją,
d) szerokość elewacji frontowej: 15,8 m z tolerancją do 20%,
e) wysokość zabudowy: do 9,0 m - maksymalnie do 2 kondygnacji w tym druga w dachu,
f) geometria dachu: kąt nachylenia: od 30 do 45, układ połaci dachowych: dachy dwuspadowe lub czterospadowe, kierunek głównej kalenicy dachu w stosunku do frontu terenu: równoległy względem drogi stanowiącej działkę oznaczoną nr 164/1 dla budynków położonych w bezpośrednim jej sąsiedztwie oraz równoległy względem projektowanej drogi wewnętrznej dla pozostałych budynków;
g) minimalny udział powierzchni biologicznie czynnej w powierzchni terenu inwestycji: 60%;
h) dopuszcza się budowę drogi wewnętrznej o parametrach: szerokość: od 8 do 10 metrów
2.2. ochrony środowiska i zdrowia ludzi oraz dziedzictwa kulturowego i zabytków oraz dóbr kultury współczesnej: inwestycja nie jest wymieniona w rozporządzeniu Rady Ministrów z dnia 1O września 2019 r. w sprawie przedsięwzięć mogących znacząco oddziaływać na środowisko (Dz.U. z 2019 r. 1839 z późn. zm.), w tym dla planowanej inwestycji stwierdza się również brak potencjalnego znaczącego oddziaływania na obszar Natura 2000, inwestycja na etapie przygotowania i realizacji winna być prowadzona z zachowaniem przepisów ustawy z dnia 27 kwietnia 2001 r. Prawo ochrony środowiska (Dz.U. z 2024 r. poz. 54), uciążliwości związane z funkcjonowaniem projektowanej inwestycji w tym hałas i wibracje, powinny ograniczać się do granic terenu objętego decyzją, w razie odkrycia przedmiotu, co do którego istnieje przypuszczenie, iż jest on zabytkiem należy wstrzymać wszelkie roboty mogące uszkodzić lub zniszczyć odkryty przedmiot, zabezpieczyć miejsce odkrycia, a także zgłosić napotkane obiekty archeologiczne do Wojewódzkiego Konserwatora Zabytków, a jeśli nie jest to możliwe do Wójta Gminy Siemyśl
2.3. obsługi w zakresie infrastruktury technicznej i komunikacji:
a) sposób zaopatrzenia w wodę: na warunkach gestora sieci,
b) sposób zaopatrzenia w energię elektryczną: na warunkach gestora sieci, z dopuszczeniem instalacji pozyskujących energię elektryczną ze źródeł odnawialnych,
c) sposób zaopatrzenia w energię cieplną: z własnego źródła, z dopuszczeniem instalacji pozyskujących energię cieplną ze źródeł odnawialnych,
d) sposób odprowadzania ścieków: na warunkach gestora sieci,
e) sposób odprowadzania wód opadowych lub roztopowych: na własny teren nieutwardzony, do dołów chłonnych lub zbiorników retencyjnych, zabrania się dokonywania zmiany naturalnego spływu wód opadowych i roztopowych / w celu kierowania ich na teren sąsiednich nieruchomości,
f) sposób gospodarowania odpadami: zgodnie z przepisami odrębnymi,
g) dostęp do drogi publicznej: dla nowej zabudowy ustala się obsługę komunikacyjną zjazdem/zjazdami z drogi stanowiącej działkę oznaczoną nr ewid. 164/1 oraz z projektowanej drogi wewnętrznej, każdy nowo projektowany zjazd z drogi należy uzgodnić z jej zarządcą, wymagana ilość miejsc postojowych: zapewnić w granicach działki minimum 2 miejsca postojowe dla samochodów osobowych na każdy lokal mieszkalny przy czym, do wymaganej liczby miejsc postojowych można wliczać ilość stanowisk postojowych w garażu;
2.4. wymagań dotyczących ochrony interesów osób trzecich:
a) projektowane obiekty budowlane powinny spełniać wymogi określone w 5 ustawy z dnia 7 lipca 1994 r. - Prawo budowlane (Dz.U. z 2024 r. poz. 725 z późn. zm.),
b) niniejsza decyzja nie rodzi praw do terenu oraz nie narusza prawa własności i uprawnień osób trzecich (art. 63 ust. 2 ustawy o planowaniu i zagospodarowaniu przestrzennym),
c) Inwestor przy wykonywaniu swego prawa powinien powstrzymać się co do działań, które zakłócałyby korzystanie z nieruchomości sąsiednich;
2.5. ochrony obiektów budowlanych na terenach górniczych:
teren objęty wnioskiem nie jest położony w granicach terenu i obszaru górniczego.
3. Linie rozgraniczające teren inwestycji oznacza się na kopii mapy zasadniczej stanowiącej integralną część decyzji.
4. Teren nie wymaga uzyskania zgody na zmianę przeznaczenia gruntów rolnych i leśnych na cele nierolnicze i nieleśne.
5. Ochrona według przepisów odrębnych:
5.1 Ochrona obiektów budowlanych na obszarach powodziowych: nie dotyczy.
6. Inne warunki:
- W przypadku uszkodzenia istniejących urządzeń melioracji wodnych należy dokonać ich naprawy w sposób umożliwiający zachowanie dotychczasowych kierunków spływu.
- Inwestycja musi spełniać wymogi rozporządzenia Ministra Infrastruktury z dnia 12 kwietnia 2002 r. w sprawie warunków technicznych, jakim powinny odpowiadać budynki i ich usytuowanie (Dz.U. z 2022 r. poz. 1225).
- Zakres i forma projektu budowlanego powinna odpowiadać warunkom określonym w rozporządzeniu Ministra Rozwoju z dnia 11 września 2020 r. w sprawie szczegółowego zakresu i formy projektu budowlanego (Dz.U. z 2022 poz. 1679 z późn. zm.).
- Należy zachować zgodne z przepisami Prawa budowlanego, przepisami szczegółowymi i Polskimi Normami odległości projektowanych obiektów od innych obiektów budowlanych i terenów oraz od infrastruktury podziemnej i nadziemnej przebiegającej przez teren objęty decyzją i w jego bezpośrednim otoczeniu. Zaleca się uzgodnienie ww. odległości z właścicielami sieci.
Dopuszcza się usunięcie kolizji na warunkach określonych przez właściciela sieci.
Przedstawione informacje nie stanowią oferty w rozumieniu przepisów Kodeksu Cywilnego. Dane dotyczące nieruchomości oparte są na informacjach uzyskanych od właściciela nieruchomości i mogą różnic się od stanu faktycznego. Podane ceny i czynsze mogą ulec zmianie. Zalecamy osobiste zapoznanie się ze stanem nieruchomości. Zapraszamy !
Oferta wysłana z programu IMO dla biur nieruchomości
Numer oferty: 24849
- Wypromuj ogłoszenie
- Zgłoś naruszenie
- Drukuj ulotkę
- Edytuj/usuń ogłoszenie
- Udostępnij ogłoszenie
- Dodaj na Facebook































